Lot
082
Auction Ends: 28/02/2024 14:18 - Bidding opens Tuesday 27th February 10:00 AM

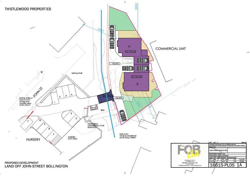
Land To The Rear Of Water Street Centre, Water Street, Bollington, Macclesfield, Cheshire, SK10 5PE

Property Details
Location
Description
A development opportunity comprising a vacant parcel of land extending to approximately 1064 Sq M (1271 Sq Yds) and benefitting from approved planning permission for the construction of a residential development consisting of 2 x link detached houses. The site is located in the heart of the popular village of Bollington within easy walking distance of a variety of amenities. Under the current plans the new build houses would detail ground and first floors with open plan dining kitchen area and four bedrooms.
Location
The site is situated in the centre of sought after Bollington and directly overlooking the River Dean. Residential properties sit to the east and the west with retail premises to the north on Palmerston Street (B5090). A variety of cafe's, pubs and bistro's can be found on many of the neighbouring streets with further facilities available in nearby Prestbury and Macclesfield.
Accommodation



















































































































































Lowther Court Schedule



Lowther Court Ground Rent



storage sheds 1



£70.00



Flat 1



£60.00



storage sheds 2



£60.00



Flat 2



£60.00



storage sheds 3



£60.00



Flat 3



£40.00



Garage 1



£60.00



Flat 4



£40.00



Garage 2



£60.00



Flat 5



£60.00



Garage 3



£55.00



Flat 6



Peppercorn



Garage 4



£60.00



Flat 7



£60.00



Garage 5



£60.00



Flat 8



£50.00



Garage 6



£60.00



Flat 9



Peppercorn



Garage 7



£60.00



Flat 10



£60.00



Garage 8



£60.00



Garage 9



£60.00



Garage 10



£60.00



Total Yearly



£430.00



Garage 21



£65.00



Flat 11



£650.00



Flat 12



£650.00



Flat 14



£650.00



Total Monthly



£2,800.00




 

Approx Site Area
Larger Area approximately 682 Sq M (815 Sq Yds).

Smaller Area approximately 382 Sq M (456 Sq Yds).
Planning
Planning permission was approved by Cheshire East Council on 15th January 2021 for the proposed erection of two detached houses. Planning ref 20/1695M
For any pre-application advice, interested parties should consult directly with the Local Planning Authority: Cheshire East Council, Town Hall Market Place Macclesfield SK10 1EA Telephone: 0300 123 5014 email: planning@cheshireeast.gov.uk.
Costs
Details of the Buyer's Premium and any additional fees payable are contained within the legal documents.
General
1. All the information provided on our website is for indicative purposes only and interested parties should refer to the contents of the legal pack and rely upon their own due diligence as a prudent bidder.

2. PLEASE NOTE BIDDING COMMENCES ON TUESDAY 27TH FEBRUARY AND CLOSES ON WEDNESDAY 28TH FEBRUARY.

3. We understand from the vendor that work on the site has commenced to maintain the approved planning permission

Our Nearest Office

Manchesterresize 600x300

Manchester

You may also like

000

9 Towngate, Great Harwood, Blackburn, Lancashire, BB6 7NE

Guide Price: £140,000 plus

001

The Maltings, Flaxley Road, Selby, North Yorkshire, YO8 4BG

Auction Ends: 26/11/2025

Guide Price: £1,250,000 plus

002

Ground Floor, 22 Cavendish Street, Chesterfield, Derbyshire, S40 1UY

Auction Ends: 26/11/2025

Guide Price: £95,000 plus

003

Land At Ashfield Road, Burnley, Lancashire, BB11 1BS

Auction Ends: 26/11/2025

Guide Price: £40,000 plus

004

7 Yorke Street, Burnley, Lancashire, BB11 1HD

Auction Ends: 26/11/2025

Guide Price: £178,000 plus

005

54 Lancaster Road, Carnforth, Lancashire, LA5 9LD

Auction Ends: 26/11/2025

Guide Price: £110,000 plus

006

Car Park North Of Pine Street, Bradford, West Yorkshire, BD1 4EY

Auction Ends: 26/11/2025

Guide Price: £60,000 plus

007

Car Park South Of Pine Street, Bradford, West Yorkshire, BD1 4EY

Auction Ends: 26/11/2025

Guide Price: £100,000 plus

Search Available
Online Auctions
Search online auction icon
Guide to
Buying at Auction
Buying guide icon
Guide to Selling
Your Property
Selling guide icon
Sign Up For
Auction Alerts
Alert icon