We're now part of BTG Eddisons - Visit our new website BTGEddisonsPropertyAuctions.com
Lot
037
Auction: February 2024 Online Auction 28/02/2024 - Bidding opens Tuesday 27th February 10:00 AM

Former Garage Site, Longfield Drive, Staincross, Barnsley, South Yorkshire, S75 6HQ

Property Details
Location
Auction Details
Description
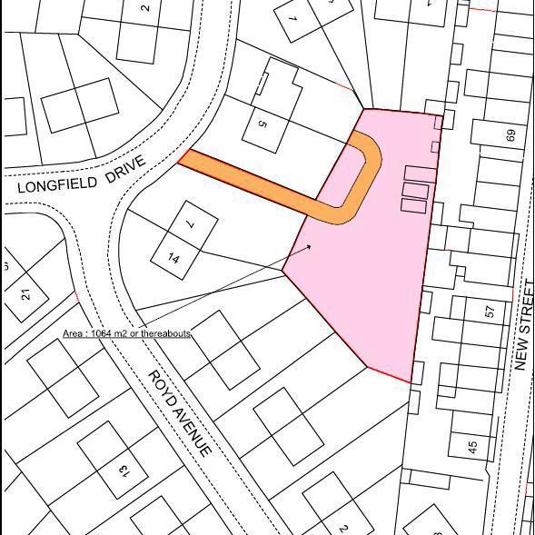
A freehold former garage site of approximately 1064 sqm (0.26 acre) located adjoining residential property in this popular area to the north west of Barnsley Town Centre. The site may offer residential development potential subject to the relevant consents.
Location
Staincross is located approximately 3.5 miles to the north west of Barnsley Town Centre, close to the villages of Mapplewell and Darton. The site is approached from a driveway between 5 and 7 Longfield Drive as identified on the adjoining plan.
Approx Site Area
Approximately 0.1 Hectares (0.24 Acres).
Planning
The land is Urban Fabric in the Local Plan and within an established residential area. Access to the site is constrained due to the narrow width of the existing driveway and visibility being impeded by the boundary features at the site entrance. Any future planning application would need to address highway safety issues and the servicing requirements of any future dwellings including refuse collection. The site is within a Coal Authority high-risk planning referral area, therefore a coal mining risk assessment would be required as part of any future planning application.

Interested parties are invited to make their own planning at highways enquiries in respect of possible schemes.
Costs
Prospective purchasers should note that the Conditions of Sale for this lot include a requirement for the purchaser to pay the sellers legal costs and a premium of 5% + VAT of the purchase price subject to a minimum of £1,000 + VAT.

Details of fees payable are contained within the legal documents.
General
1. All the information provided on our website is for indicative purposes only and interested parties should refer to the contents of the legal pack and rely upon their own due diligence as a prudent bidder.

2. PLEASE NOTE BIDDING COMMENCES ON TUESDAY 27TH FEBRUARY AND CLOSES ON WEDNESDAY 28TH FEBRUARY.

Our Nearest Office

Leeds 600x300

Leeds

Search Available
Online Auctions
Search online auction icon
Guide to
Buying at Auction
Buying guide icon
Guide to Selling
Your Property
Selling guide icon
Sign Up For
Auction Alerts
Alert icon