Lot
048
Auction Ends: 08/11/2023 13:38 - Bidding opens Tuesday 7th November 10:00 AM

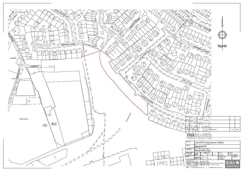
Development Land Off Furness Avenue, Oldham, Lancashire, OL8 2DW

Property Details
Location
Description
A development opportunity comprising an irregular shaped parcel of land extending to approximately 0.37 Hectares (0.93 Acres) and benefitting from outline planning permission for the construction of 10 residential dwellings. Under current plans the site would comprise 6 x 3 bedroom detached houses, 3 x 3 bedroom mews houses and 1 x 4 bedroom detached house.
Location
The site is accessed from Furness Avenue and Titchfield Road and forms part of a wider established residential housing estate accessed off Alt Lane / Abbey Hills Road. Local amenities can be found nearby whilst Oldham Town Centre is situated just 2 miles to the north.
Approx Site Area
Approximately 0.37 Hectares (0.93 Acres)
Planning
Outline planning permission was approved by Oldham Council on 31st October 2023 for the construction of residential development (planning ref OUT/346447/21)

For any pre-application advice, interested parties should consult directly with the Local Planning Authority: Oldham Council, Civic Centre, West Street, Oldham, OL1 1UT. Telephone: 0161 770 4105. Email: planning@oldham.gov.uk
Costs
Details of the Buyer's Premium and any additional fees payable are contained within the legal documents.
General
1. All the information provided on our website is for indicative purposes only and interested parties should refer to the contents of the legal pack and rely upon their own due diligence as a prudent bidder.

2. PLEASE NOTE BIDDING COMMENCES ON TUESDAY 7TH NOVEMBER AND CLOSES ON WEDNESDAY 8TH NOVEMBER.

Our Nearest Office

Manchesterresize 600x300

Manchester

You may also like

033

Flats 1-4, 54 Keppel Road, Chorlton, Manchester, Greater Manchester, M21 0BW

Auction Ends: 10/12/2025

Guide Price: £475,000 plus

060

34-40 Bridge Street, Bury, Lancashire, BL9 6HH

Auction Ends: 10/12/2025

Guide Price: £775,000 plus

061

1227 City Link, Hessel Street, Salford, Greater Manchester, M50 1DJ

Auction Ends: 10/12/2025

Guide Price: £60,000 plus

062

1228 City Link, Hessel Street, Salford, Greater Manchester, M50 1DJ

Auction Ends: 10/12/2025

Guide Price: £60,000 plus

063

164 Stretford Road, Hulme, Manchester, Greater Manchester, M15 5JH

Auction Ends: 10/12/2025

Guide Price: £72,000 plus

067

219-221 Stamford Street, Ashton-Under-Lyne, Greater Manchester, OL6 7QH

Auction Ends: 10/12/2025

Guide Price: £230,000 plus

072

40 Newbridge Lane, Stockport, Cheshire, SK1 2NA

Auction Ends: 10/12/2025

Guide Price: £385,000 plus

017

1 Top Lock Cottage, Lockside, Marple, Stockport, Cheshire, SK6 6BN

Auction Ends: 28/01/2026

Guide Price: £225,000 plus

Search Available
Online Auctions
Search online auction icon
Guide to
Buying at Auction
Buying guide icon
Guide to Selling
Your Property
Selling guide icon
Sign Up For
Auction Alerts
Alert icon