Lot
062
Auction Ends: 19/07/2023 14:34 - Bidding opens Tuesday 18th July 10:00 AM

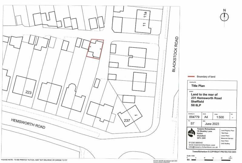
Garages & Land To Rear Of Hemsworth Road, Off Blackstock Road, Sheffield, South Yorkshire, S8 8LP

Property Details
Location
Description
Two side by side lock up garages located to the rear of residential property on Hemsworth Road and approached via vehicular access off Blackstock Road. The larger of the two has recently been used for storage and overall the two offer 51 sqm (553 sqft) of accommodation with potential for car parking, workshop or storage.
Location
The garages are located close to the Norton roundabout and water tower, to the south east of Sheffield and just off the outer ring road. The site is currently part of residential property on Hemsworth Road but is approached via a driveway at the top of Blackstock Road.
Accommodation

Garage 1

Left hand side - 9.23m x 4.06m - 37.47 sqm

Garage 2

Right hand side - 4.65m x 3.0m -13.95 sqm

Total 51.42 sqm (553 sqft)
Costs
Details of the Buyer's Premium and any additional fees payable are contained within the legal documents.
General
1. All the information provided on our website is for indicative purposes only and interested parties should refer to the contents of the legal pack and rely upon their own due diligence as a prudent bidder.

2. PLEASE NOTE BIDDING COMMENCES ON TUESDAY 18TH JULY AND CLOSES ON WEDNESDAY 19TH JULY.

Our Nearest Office

Sheffield 600x300

Sheffield

Joint Agent

Contact: John McDonald FRICS

You may also like

006

Flats 1-4, 47 Olivet Road, Woodseats, Sheffield, South Yorkshire, S8 8QR

Auction Ends: 28/01/2026

Guide Price: £200,000 plus

015

69 Leppings Lane & Bickerton Road Flats , Hillsborough, Sheffield, South Yorkshire, S6 1SS

Auction Ends: 28/01/2026

Guide Price: £175,000 plus

018

Bungalow & Land , Kelvin, 1 Backmoor Road, Sheffield, South Yorkshire, S8 8LB

Auction Ends: 28/01/2026

Guide Price: £325,000

024

Former Trinity Methodist Church, Chapel Street, Woodhouse, Sheffield, South Yorkshire, S13 7JL

Auction Ends: 28/01/2026

Guide Price: £125,000 plus

028

40 Robert Road, Meadowhead, Sheffield, South Yorkshire, S8 7TL

Auction Ends: 28/01/2026

Guide Price: £190,000 plus

031

26 Cuthbert Cooper Place, Darnall, Sheffield, South Yorkshire, S9 4JS

Auction Ends: 28/01/2026

Guide Price: £60,000 plus

043

1 Wellgate, Rotherham, South Yorkshire, S60 2LT

Auction Ends: 28/01/2026

Guide Price: £87,000 plus

049

4 Elm Drive, Killamarsh, Sheffield, Derbyshire, S21 1FT

Auction Ends: 28/01/2026

Guide Price: £125,000 plus

050

36 Meadow Grove Road, Totley, Sheffield, South Yorkshire, S17 4FF

Auction Ends: 28/01/2026

Guide Price: £375,000 plus

053

48 Knutton Road, Parson Cross, Sheffield, South Yorkshire, S5 9NU

Auction Ends: 28/01/2026

Guide Price: £110,000 plus

056

16 Chapman Lane, Grassmoor, Chesterfield, Derbyshire, S42 5EN

Auction Ends: 28/01/2026

Guide Price: £80,000 plus

057

Land At Gregory Road, Heeley, Sheffield S8 9SY &, 2 & 4 Maxey Place , Sheffield, South Yorkshire, S8 9TA

Auction Ends: 28/01/2026

Guide Price: £75,000 plus

061

306 Walkley Bank Road, Sheffield, South Yorkshire, S6 5AR

Auction Ends: 28/01/2026

Guide Price: £160,000

062

15 Stubbin Lane, Firth Park, Sheffield, South Yorkshire, S5 6QG

Auction Ends: 28/01/2026

Guide Price: £325,000

065

15-17 Soresby Street, Chesterfield, Derbyshire, S40 1JW

Auction Ends: 28/01/2026

Guide Price: £90,000 plus

066

270 Brunswick Road, Burngreave, Sheffield, South Yorkshire, S3 9LS

Auction Ends: 28/01/2026

Guide Price: £40,000 plus

069

Land At The R/O Wellgate / Doncaster Gate, Rotherham, South Yorkshire, S60 2LT

Auction Ends: 28/01/2026

Guide Price: £35,000 plus

072

4 Ashwell Road, Sheffield, South Yorkshire, S13 7EB

Auction Ends: 28/01/2026

Guide Price: £78,000 plus

073

15 Wellington Street, New Whittington, Chesterfield, Derbyshire, S43 2BJ

Auction Ends: 28/01/2026

Guide Price: £75,000 plus

074

10 Burngreave Bank, Sheffield, South Yorkshire, S4 7HL

Auction Ends: 28/01/2026

Guide Price: £53,000 plus

078

32 Filey Street, Sheffield, South Yorkshire, S10 2FG

Auction Ends: 28/01/2026

Guide Price: £165,000 plus

Search Available
Online Auctions
Search online auction icon
Guide to
Buying at Auction
Buying guide icon
Guide to Selling
Your Property
Selling guide icon
Sign Up For
Auction Alerts
Alert icon